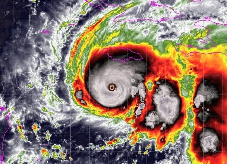
CubahuracánJamaicaMelissapeligrosotocar tierraMelissa desata su furia en Jamaica y avanza hacia Cuba como un huracán categoría 4 by Prensa ReportajeHoyoctubre 29, 202507 Share0 El huracán tocó tierra en el sureste de Jamaica con devastadores vientos de 185 mph.